Richieste
Mappe Tavolari
05- Mappetavolari-
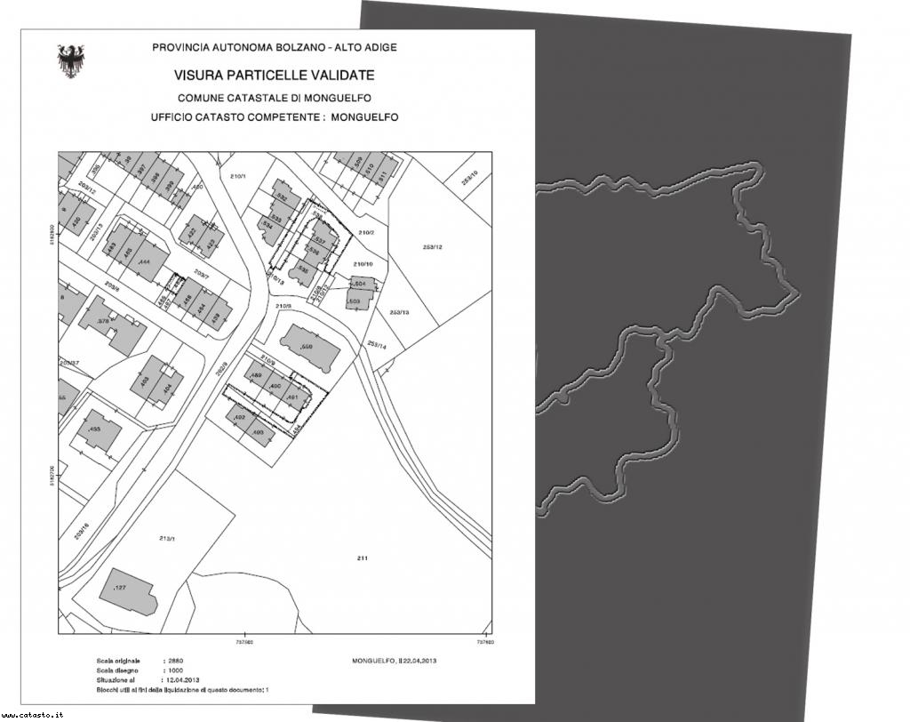
Estratto catastale di mappa terreni del Catasto Fondiario, in formato A4 o A3, rilasciata direttamente dal
Catasto di Trento o di Bolzano, con gli aggiornamenti ad oggi riportati dal rispettivo Ufficio Catastale.
Nei casi in cui la particella fornita non fosse in mappa, si potrebbero richiedere dei chiarimenti e/o ripetere
le ricerche con altri dati forniti successivamente, solo al fine dell'evasione del presente ordine, non
comportano altri costi aggiuntivi.
L'estratto di mappa richiesto direttamente al catasto vi verrà recapitato via e-mail, in formato pdf.
Estratto catastale di mappa terreni del Catasto Fondiario, in formato A4 o A3, rilasciata direttamente dal
Catasto di Trento o di Bolzano, con gli aggiornamenti ad oggi riportati dal rispettivo Ufficio Catastale.
Nei casi in cui la particella fornita non fosse in mappa, si potrebbero richiedere dei chiarimenti e/o ripetere
le ricerche con altri dati forniti successivamente, solo al fine dell'evasione del presente ordine, non
comportano altri costi aggiuntivi.
L'estratto di mappa richiesto direttamente al catasto vi verrà recapitato via e-mail, in formato pdf.

